EasyManua.ls Logo

GMC GMT 610 - Exhaust System, 135 WB - W;Vortec 5300 V8 (LM7)

GMC GMT 610
80 pages
Print Icon
To Next Page IconTo Next Page
To Next Page IconTo Next Page
To Previous Page IconTo Previous Page
To Previous Page IconTo Previous Page
Loading...
G/H Van (GMT 610) 2005
G/H VAN
(
GMT 610
)
70
PAGE
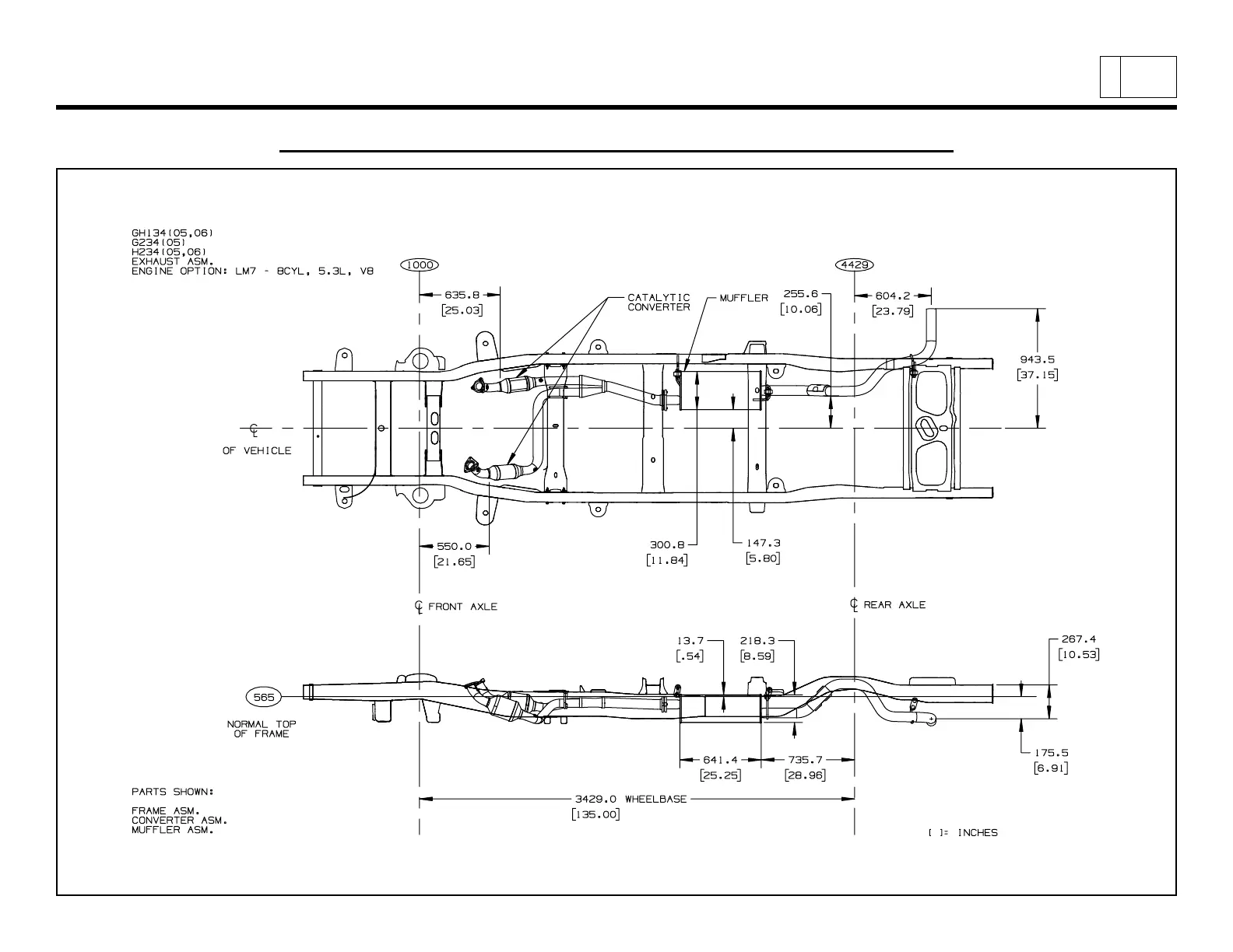
Exhaust System, 135” WB – w/Vortec 5300 V8 (LM7)
TD006011a

Table of Contents

Related product manuals