EasyManua.ls Logo

Dahua Technology DH-XVR1B04-I - Page 235

Dahua Technology DH-XVR1B04-I
394 pages
Print Icon
To Next Page IconTo Next Page
To Next Page IconTo Next Page
To Previous Page IconTo Previous Page
To Previous Page IconTo Previous Page
Loading...
Users Manual
226
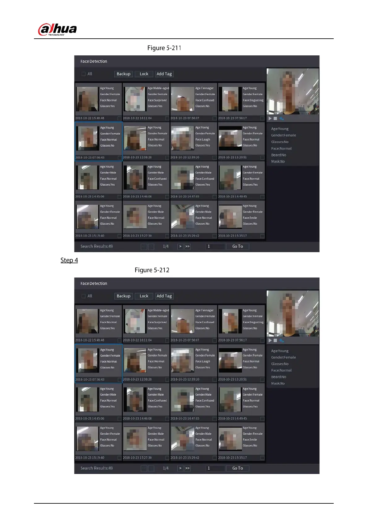
Search results
Select the face that you want to play back.
Registered information

Table of Contents

Other manuals for Dahua Technology DH-XVR1B04-I

Related product manuals