EasyManua.ls Logo

Yanmar 4JH3BE - 11. Troubleshooting (Concerning engine fuel injection equipment)

Yanmar 4JH3BE
284 pages
Print Icon
To Next Page IconTo Next Page
To Next Page IconTo Next Page
To Previous Page IconTo Previous Page
To Previous Page IconTo Previous Page
Loading...
Chapter 3 Fuel Injection
Equipment
.;.1.;.;l._T;..r;.;o;.;u;.;;b.;.Je;.;s.;;.;h.;.oo.;;..t.;;.;in;.;.:.g,.__
________________________
3,4JH3(B)(C)E
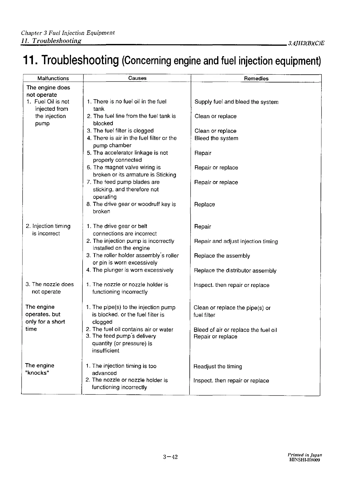
11.
Troubleshooting
(Concerning
engine
and
fuel
injection
equipment)
Malfunctions
Causes
The engine does
not
operate
1.
Fuel Oil is not
1.
There is no fuel oil
in
the fuel
injected from
tank
the injection
2.
The fuel line from the fuel tank
is
pump
blocked
3.
The fuel filter is clogged
4.
There is air
in
the fuel filter or the
pump chamber
5.
The accelerator linkage is not
properly connected
6.
The magnet valve wiring
is
broken or its armature is Sticking
7.
The feed pump blades are
sticking, and therefore not
operating
8.
The drive gear or woodruff key is
broken
2.
Injection timing
1 . The drive gear or belt
is incorrect
connections are incorrect
2.
The injection pump is incorrectly
installed
on
the engine
3.
The roller holder assembly's roller
or pin is worn excessively
4.
The plunger is worn excessively
3.
The nozzle does
1 . The nozzle or nozzle holder is
not operate
functioning incorrectly
The engine
1.
The pipe(s) to the injection pump
operates.
but
is blocked. or the fuel filter is
only
for
a short
clogged
time
2.
The fuel oil contains air or water
3.
The feed pump's delivery
quantity (or pressure) is
insufficient
The engine
1.
The injection timing is too
"knocks"
advanced
2.
The nozzle or nozzle holder is
functioning incorrectly
3-42
Remedies
Supply fuel and bleed the system
Clean or replace
Clean or replace
Bleed the system
Repair
Repair or replace
Repair or replace
Replace
Repair
Repair and adjust injection timing
Replace the assembly
Replace the distributor assembly
Inspect. then repair or replace
Clean or replace the pipe(s) or
fuel filter
Bleed of air or replace the fuel oil
Repair or replace
Readjust the timing
Inspect. then repair or replace
Printed in Japan
HI
NSHI-118009

Table of Contents

Related product manuals