EasyManua.ls Logo

Dahua DH-XVR54 L-I2 Series

Dahua DH-XVR54 L-I2 Series
396 pages
To Next Page IconTo Next Page
To Next Page IconTo Next Page
To Previous Page IconTo Previous Page
To Previous Page IconTo Previous Page
Loading...
Users Manual
224
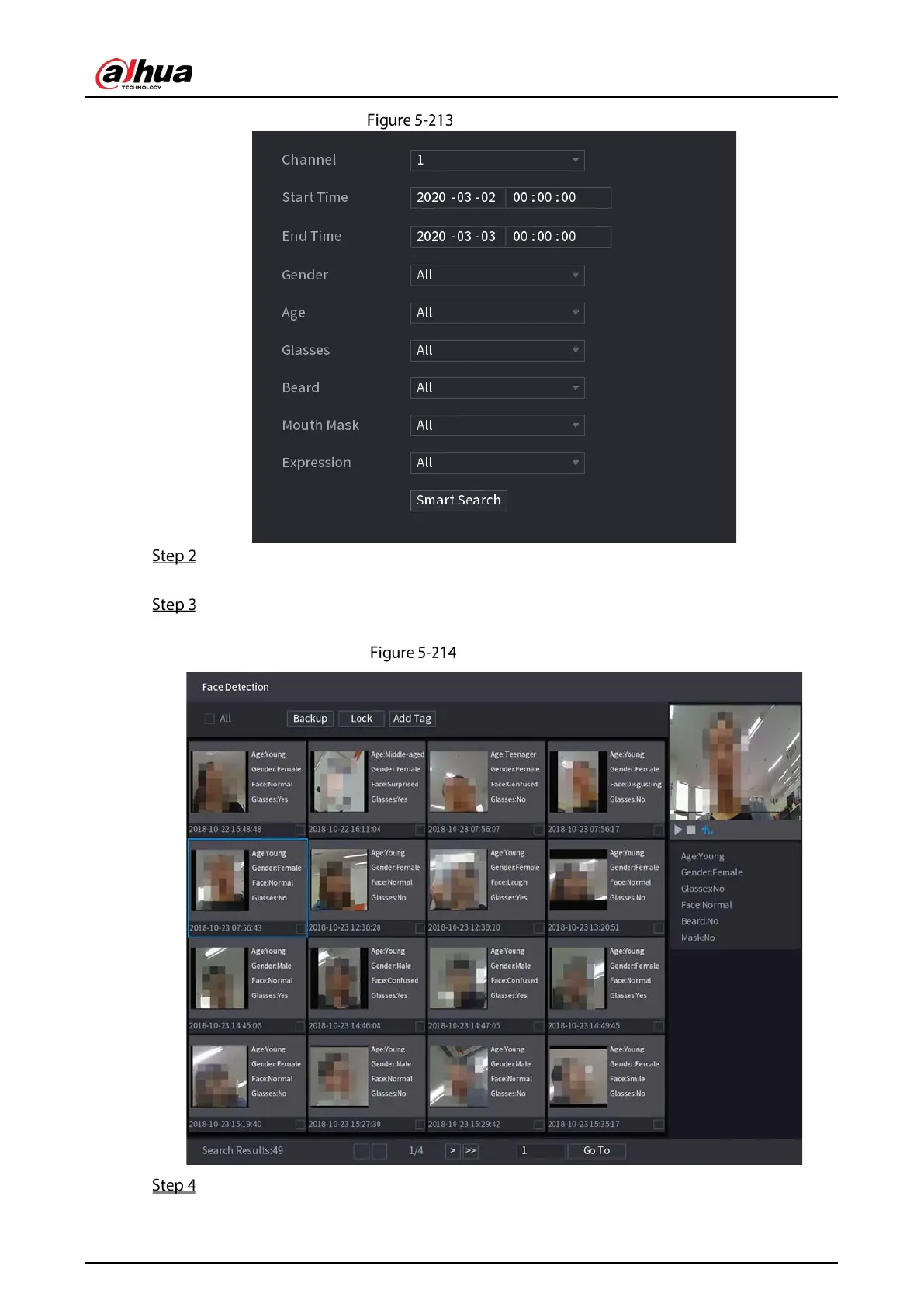
Face detection
Select the channel, enter the start time and end time, and set for the gender, age, glasses,
beard, and mask.
Click Smart Search.
The results are displayed.
Search results
Select the face that you want to play back.

Table of Contents

Related product manuals