EasyManua.ls Logo

Dahua DH-XVR54 L-I2 Series

Dahua DH-XVR54 L-I2 Series
396 pages
To Next Page IconTo Next Page
To Next Page IconTo Next Page
To Previous Page IconTo Previous Page
To Previous Page IconTo Previous Page
Loading...
Users Manual
225
Registered information
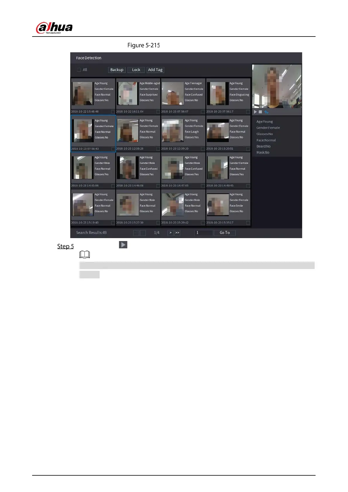
And then click to start playing back the recorded detected face snapshots.
Double-click on the playing page to switch between full screen playing and thumbnail
playing.
You can also do the following operations to the recorded files.
To export the database file (.csv) to the external storage device, select files, click Export,
and then select the save path.
To back up the recorded files to the external storage device, select files, click Backup,
select the save path and file type, and then click Start.

Table of Contents

Related product manuals