EasyManua.ls Logo

Eneo DLR-2016/500V - Web Monitoring Mode

Eneo DLR-2016/500V
84 pages
Print Icon
To Next Page IconTo Next Page
To Next Page IconTo Next Page
To Previous Page IconTo Previous Page
To Previous Page IconTo Previous Page
Loading...
16-Channel Digital Video Recorder
65
NOTE: Do NOT close the LOGIN window during the WebGuard operation, otherwise, it will cause a script error
when switching between Web monitoring and Web search modes, and you will need to restart the WebGuard
program.
When running the updated WebGuard for the first time, Internet Explorer might occasionally load the
information of the previous version. In this case, delete the temporary internet files by selecting Tools Æ
Internet Options Æ General tab, and then run WebGuard again.
There might be a problem that the bottom of WebGuard page is cropped due to the address or status
bars in Microsoft Internet Explorer 7.0. In this situation, it is recommended that websites open windows
without address or status bars by changing the internet setting. (Go to the Tools Æ Internet Options Æ
Security tab Æ Click the Custom level… button Æ Select Enable for the Allow websites to open windows
without address or status bars option)
When running WebGuard in the Microsoft Windows Vista or higher operating system, it is recommended
to start Internet Explorer with elevated administrator permissions. Click the right mouse button on the
Internet Explorer icon and select the Run as administrator option from the context menu. Otherwise,
some functions of the WebGuard might be limited to use.
There might be a problem with screen display or screen update due to low image transmission speed
when using the Microsoft Windows Vista or higher operating system. In this situation, it is recommended
that you disable the Auto Tuning capability of your computer.
Run the Command Prompt with elevated administrator permissions (Go to the Start Menu Æ
Accessories Æ Command Prompt Æ Click the right mouse button and select the Run as administrator
option). Then enter “netsh int tcp set global autotuninglevel=disable” and hit the enter key. Restart
your computer to apply the changes.
If you want to enable the Auto Tuning capability again, enter “netsh int tcp set global autotuninglevel=
normal” after running the Command Prompt with elevated administrator permissions. Restart your
computer to apply the changes.
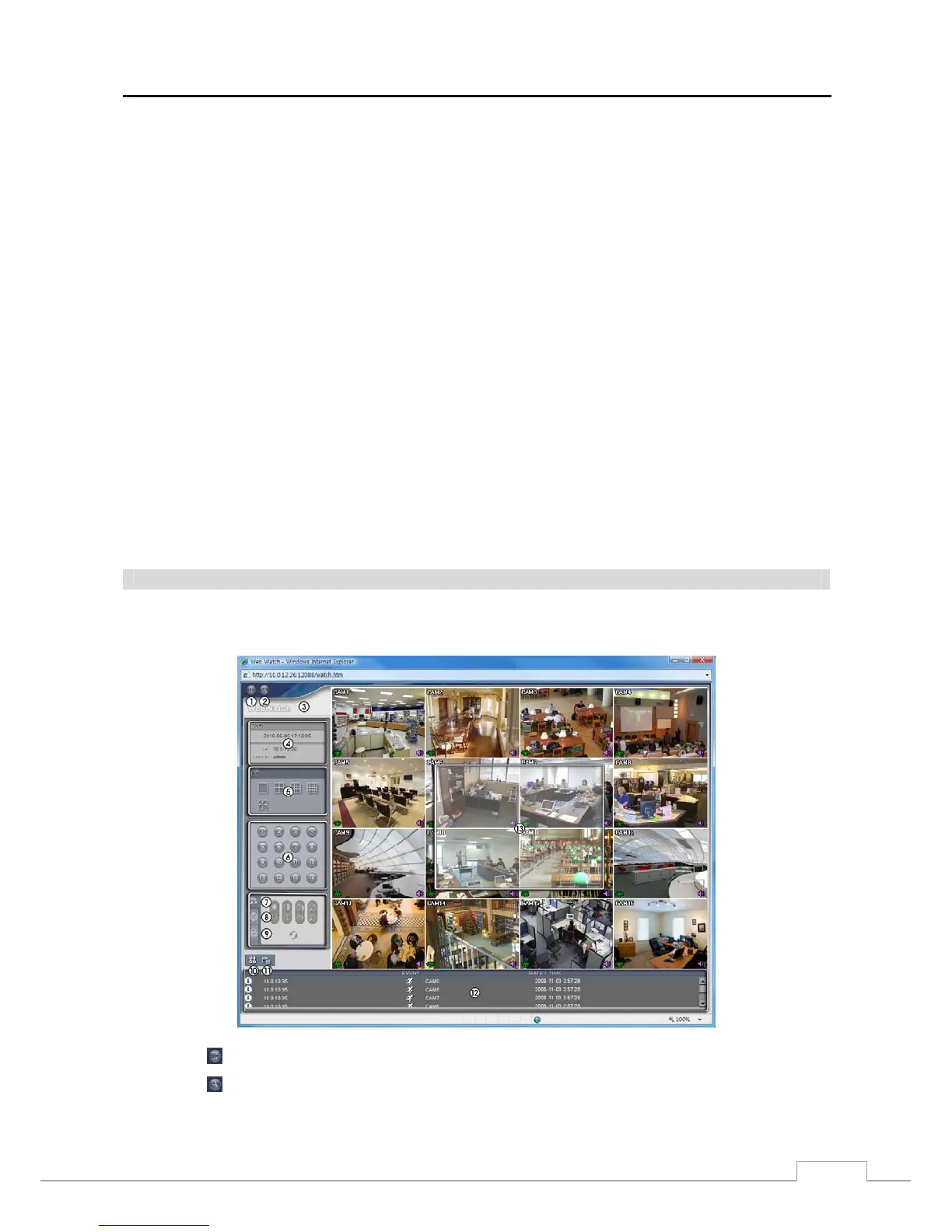
Web Monitoring Mode
WebWatch is a remote web monitoring program that allows you to monitor live video transmitted in real-time from
the remote DVR.
Click the to log out the WebGuard program.
Click the to access to the web search mode.
Position the mouse pointer on the WebWatch logo to see the version of the WebGuard program.

Table of Contents

Related product manuals