EasyManua.ls Logo

wsm M7060 - Main Gear Shift Section

wsm M7060
639 pages
Print Icon
To Next Page IconTo Next Page
To Next Page IconTo Next Page
To Previous Page IconTo Previous Page
To Previous Page IconTo Previous Page
Loading...
TRANSMISSION
M6060, M7060, WSM
2-M12
[3] MAIN GEAR SHIFT SECTION
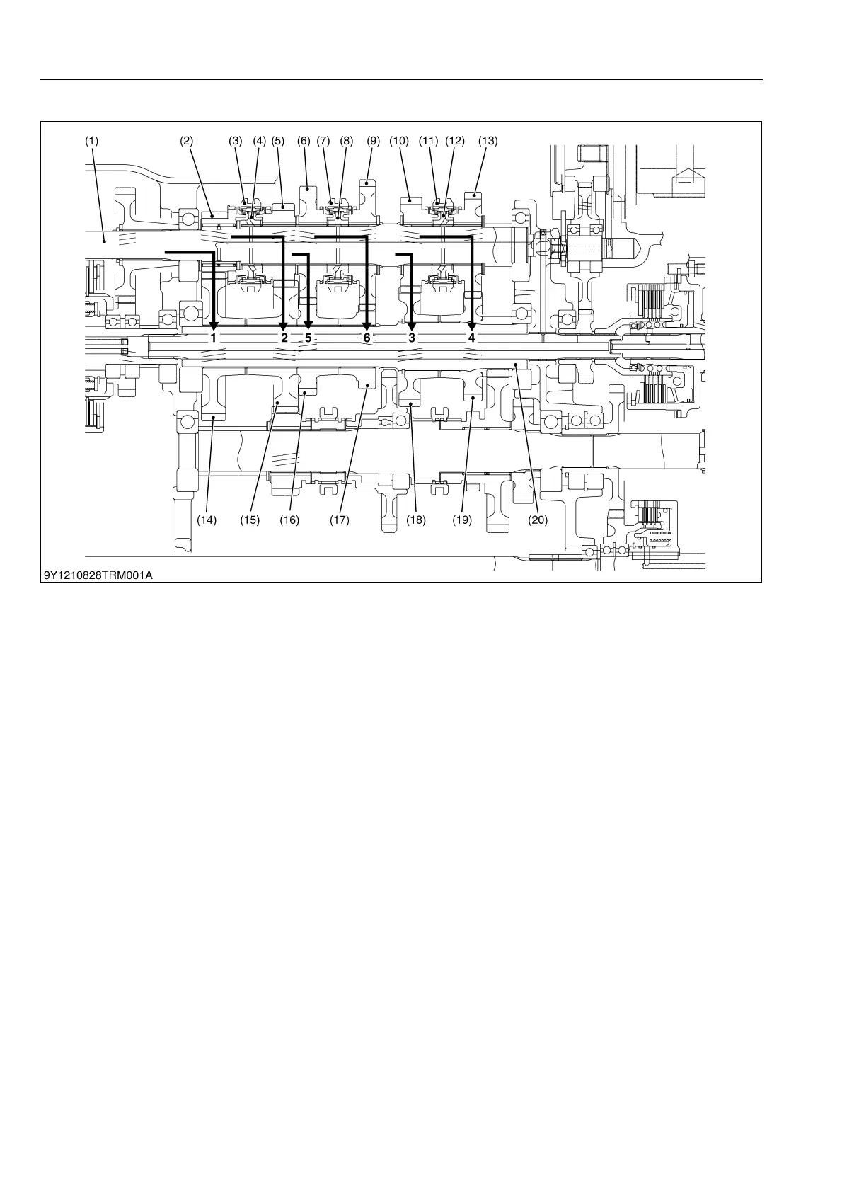
1st Speed
1st Shaft (1) Coupling (4) Shifter (3) 19T Gear (2) 46T Gear (14) 2nd Shaft (20).
2nd Speed
1st Shaft (1) Coupling (4) Shifter (3) 24T Gear (5) 41T Gear (15) 2nd Shaft (20).
3rd Speed
1st Shaft (1) Coupling (12) Shifter (11) 28T Gear (10) 37T Gear (18) 2nd Shaft (20).
4th Speed
1st Shaft (1) Coupling (12) Shifter (11) 32T Gear (13) 33T Gear (19) 2nd Shaft (20).
5th Speed
1st Shaft (1) Coupling (8) Shifter (7) 36T Gear (6) 29T Gear (16) 2nd Shaft (20).
6th Speed
1st Shaft (1) Coupling (8) Shifter (7) 41T Gear (9) 25T Gear (17) 2nd Shaft (20).
9Y1210828TRM0012US0
(1) 1st Shaft
(2) 19T Gear
(3) Shifter
(4) Coupling
(5) 24T Gear
(6) 36T Gear
(7) Shifter
(8) Coupling
(9) 41T Gear
(10) 28T Gear
(11) Shifter
(12) Coupling
(13) 32T Gear
(14) 46T Gear
(15) 41T Gear
(16) 29T Gear
(17) 25T Gear
(18) 37T Gear
(19) 33T Gear
(20) 2nd Shaft
KiSC issued 08, 2013 A

Table of Contents

Related product manuals